Banery

Nieruchomości na sprzedaż

  • Tablica informacyjna z napisem "Lisewo"

Działki w Lisewie na sprzedaż

Wójt  Gminy  Golub-Dobrzyń ogłasz, że w dniu 20.01.2026 r. o godz. 13:00  w siedzibie Urzędu Gminy Golub-Dobrzyń w Sali posiedzeń  nr 1, ul. Plac 1000-lecia 25, odbędzie się nieograniczony przetarg ustny na sprzedaż: nieruchomości niezabudowanej, działek położonych w obrębie Lisewo...
  • Działki na sprzedaż

Działki w Białkowie i Wrockach na sprzedaż

Wójt  Gminy  Golub-Dobrzyń ogłasza, że w dniu 07.10.2025 r. o godz. 13:00  w siedzibie Urzędu Gminy Golub-Dobrzyń w sali posiedzeń nr 1, ul. Plac 1000-lecia 25, odbędzie się nieograniczony przetarg ustny na sprzedaż...
  • Zrzut ekranu z zaznaczoną działką

Nieruchomość w Cieszynach na sprzedaż

Wójt Gminy Golub-Dobrzyń ogłasza przetarg ustny nieograniczony na sprzedaż nieruchomości na obszarze Gminy Golub-Dobrzyń, Cieszyny nr dz. 104/1, stanowiących własność Gminy Golub-Dobrzyń.
  • Rzut na działkę na sprzedaż

Nieruchomość w Cieszynach na sprzedaż

Wójt Gminy Golub-Dobrzyń podaje do publicznej wiadomości wykaz nieruchomości przeznaczonych do sprzedaży w drodze przetargu nieograniczonego...
  • Działka na sprzedaż

Działka w Cieszynach na sprzedaż

Ogłoszenie Wójta Gminy Golub-Dobrzyń z dnia 05 czerwca 2024 r. w sprawie sporządzenia wykazu nieruchomości przeznaczonych do sprzedaży.
  • Mapa działki

Przetarg ustny na sprzedaż działki

Wójt Gminy Golub-Dobrzyń ogłasza, że w dniu 09.02.2023 r. o godz. 12:00  w siedzibie Urzędu Gminy Golub-Dobrzyń w Sali posiedzeń  nr 1, ul. Plac Tysiąclecia 25, odbędzie się nieograniczony przetarg ustny na sprzedaż działki niezabudowanej, położonej we Wrockach.
  • Mapa działek

Przetarg ustny na sprzedaż działek

Wójt Gminy Golub-Dobrzyń ogłasza, że w dniu 26.01.2024 r. o godz. 13:00  w siedzibie Urzędu Gminy Golub-Dobrzyń w Sali posiedzeń nr 1, ul. Plac Tysiąclecia 25, odbędzie się nieograniczony przetarg ustny na sprzedaż działek niezabudowanych, położonych w Golubiu – Dobrzyniu, obręb III.
  • Mapa działek

Przetarg ustny na sprzedaż działek

Wójt Gminy Golub-Dobrzyń ogłasza, że w dniu 26.01.2024 r. o godz. 14:00  w siedzibie Urzędu Gminy Golub-Dobrzyń w Sali posiedzeń nr 1, ul. Plac Tysiąclecia 25, odbędzie się nieograniczony przetarg ustny na sprzedaż działek zabudowanych, położonych w Golubiu – Dobrzyniu, obręb III.
  • Wykaz działek - Lisewo

IV nieograniczony przetarg ustny na sprzedaż działek położonych w obrębie Lisewo

Wójt Gminy Golub-Dobrzyń ogłasza, że w dniu 09.11.2023 r. o godz. 12:00 w siedzibie Urzędu Gminy Golub-Dobrzyń w sali posiedzeń  nr 1, ul. Plac Tysiąclecia 25, odbędzie się IV nieograniczony przetarg ustny na sprzedaż: nieruchomości niezabudowanych, położonych w obrębie Lisewo.
  • Działki na sprzedaż

III nieograniczony przetarg ustny na sprzedaż działek położonych w obrębie Lisewo

Wójt Gminy Golub-Dobrzyń ogłasza, że w dniu 04.08.2023 r. o godz. 12:00  w siedzibie Urzędu Gminy Golub-Dobrzyń w Sali posiedzeń nr 1, ul. Plac Tysiąclecia 25, odbędzie się III nieograniczony przetarg ustny na sprzedaż nieruchomości niezabudowanej, działek położonych w obrębie Lisewo.
  • Rzut na Park Przemysłowo-Technologiczny we Wrockach

II przetarg pisemny ograniczony na sprzedaż nieruchomości położonych na terenie Parku Przemysłowo-Technologicznego we Wrockach

Wójt Gminy Golub-Dobrzyń ogłasza, że w dniu 7 września 2023 r. o godz. 12:00 (część jawna) w siedzibie Urzędu Gminy Golub-Dobrzyń w sali posiedzeń  nr 1, ul. Plac Tysiąclecia 25, odbędzie się II ograniczony pisemny przetarg na sprzedaż działek położonych we Wrockach.
  • Mapa działek na sprzedaż

II nieograniczony przetarg ustny na sprzedaż działek w obrębie Lisewo

Wójt  Gminy Golub-Dobrzyń ogłasza, że w dniu 25.05.2023 r. o godz.12:00 w siedzibie Urzędu Gminy Golub-Dobrzyń w sali posiedzeń nr 1, ul. Plac Tysiąclecia 25, odbędzie się II nieograniczony przetarg ustny na sprzedaż nieruchomości niezabudowanych, położonych w obrębie Lisewo, księga wieczysta TO1G/00011089/5.
  • Park Przemysłowo-Technologiczny we Wrockach

Przetarg pisemny ograniczony na sprzedaż nieruchomości położonych na terenie Parku Przemysłowo-Technologicznego we Wrockach

Wójt Gminy Golub-Dobrzyń ogłasza przetarg pisemny ograniczony na sprzedaż nieruchomości stanowiących własność Gminy Golub – Dobrzyń położonych na terenie Golubsko – Dobrzyńskiego Parku Przemysłowo – Technologicznego w miejscowości Wrocki w drodze przetargu pisemnego ograniczonego.
  • Mapa działek na sprzedaż

Nieograniczony przetarg ustny na sprzedaż działek w obrębie Lisewo

Wójt Gminy Golub-Dobrzyń ogłasza, że w dniu 21.12.2022 r. o godz. 13:00  w siedzibie Urzędu Gminy Golub-Dobrzyń w Sali posiedzeń nr 1, ul. Plac Tysiąclecia 25, odbędzie się nieograniczony przetarg ustny na sprzedaż nieruchomości niezabudowanej, działek położonych w obrębie Lisewo.
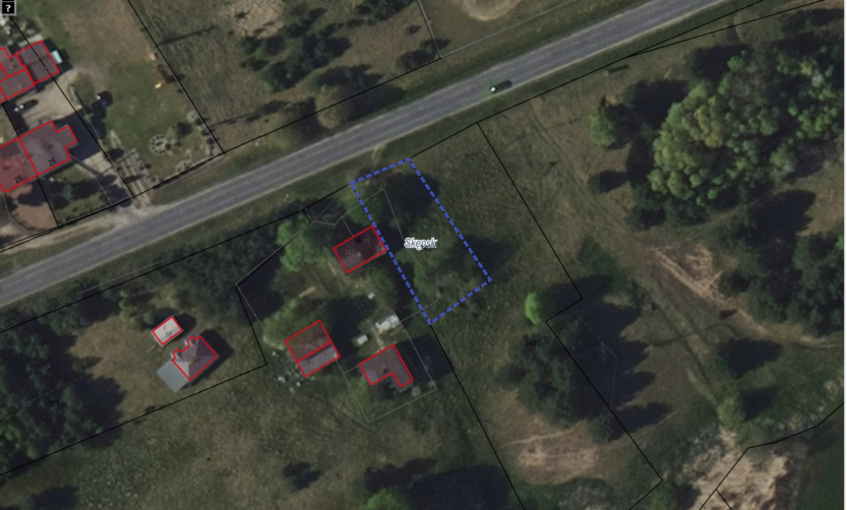
  • Dzałka na sprzedaż

II nieograniczony przetarg ustny na sprzedaż działki niezabudowanej

Wójt Gminy Golub – Dobrzyń informuje, że dnia 9 grudnia 2022 roku odbędzie się II nieograniczony przetarg ustny na sprzedaż:
działka niezabudowana, oznaczona nr geodezyjnym 340/1 o powierzchni 637 m2, położona w obrębie Skępsk.
  • Mapa działek na sprzedaż

Wójt Gminy Golub-Dobrzyń ogłasza nieograniczony przetarg ustny

Wójt Gminy ogłasza, że w dniu 21.07.2022 r. o godz. 13:00  w siedzibie Urzędu Gminy Golub-Dobrzyń w Sali posiedzeń  nr 1, ul. Plac Tysiąclecia 25, odbędzie się nieograniczony przetarg ustny
  • Zdjęcie stockowe - budynki

Ogłoszenie w sprawie sporządzenia wykazu nieruchomości przeznaczonych do sprzedaży.

Wójt Gminy Golub – Dobrzyń ogłasza, co następuje:
1.Z gminnego zasobu nieruchomości zostały przeznaczone do zbycia:
Działki niezabudowane, położone w Golubiu – Dobrzyniu, obręb III, dla których w Wydziale Ksiąg Wieczystych Sądu Rejonowego w Golubiu – Dobrzyniu prowadzona jest księga wieczysta TO1G/00008312/4.
  • Działki na sprzedaż

Przetarg pisemny nieograniczony na sprzedaż nieruchomości stanowiących własność Gminy Golub–Dobrzyń

Wójt Gminy Golub-Dobrzyń ogłasza przetarg pisemny nieograniczony na sprzedaż nieruchomości położonych na działkach nr 87/18, nr 87/19 oraz nr 87/20, obręb ewidencyjny Nowogród.
  • Działka 385/2 Karczewo

II przetarg ustny nieograniczony - lokal w Karczewie

Wójta Gminy Golub-Dobrzyń ogłasza II przetarg ustny nieograniczony na sprzedaż lokalu wraz z pomieszczeniem przynależnym w budynku gospodarczym oraz udziałem 548/3245 części w nieruchomości wspólnej w miejscowości Karczewo.
  • Działka 73, Paliwodzizna

Przetarg pisemny nieograniczony na sprzedaż nieruchomości stanowiących własność Gminy Golub-Dobrzyń

Wójt Gminy Golub-Dobrzyń ogłasza przetarg pisemny nieograniczony na sprzedaż nieruchomości stanowiących własność Gminy Golub-Dobrzyń.
  • Mapa działki Macikowo 127 przeznaczonej na sprzedaż

Przetarg pisemny ograniczony na sprzedaż nieruchomości

Z gminnego zasobu nieruchomości została przeznaczona do zbycia w trybie przetargu ograniczonego, z uwagi na brak bezpośredniego dostępu do drogi publicznej działka nr 127 o powierzchni 2800 m2, obręb ewidencyjny Macikowo.